Síðast Vísað til borgarráðs á fundi fyrir 5 árum síðan.
Málsaðilar
Skipulags- og samgönguráð nr. 87
Vísað til borgarráðs
Fyrirspurn
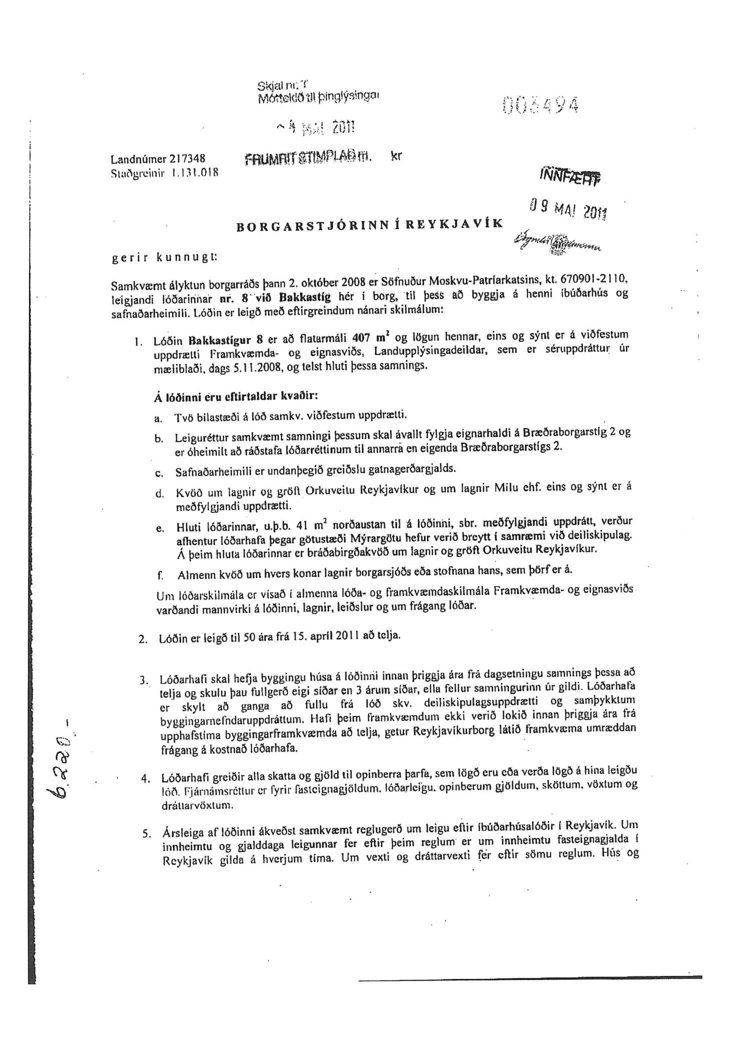
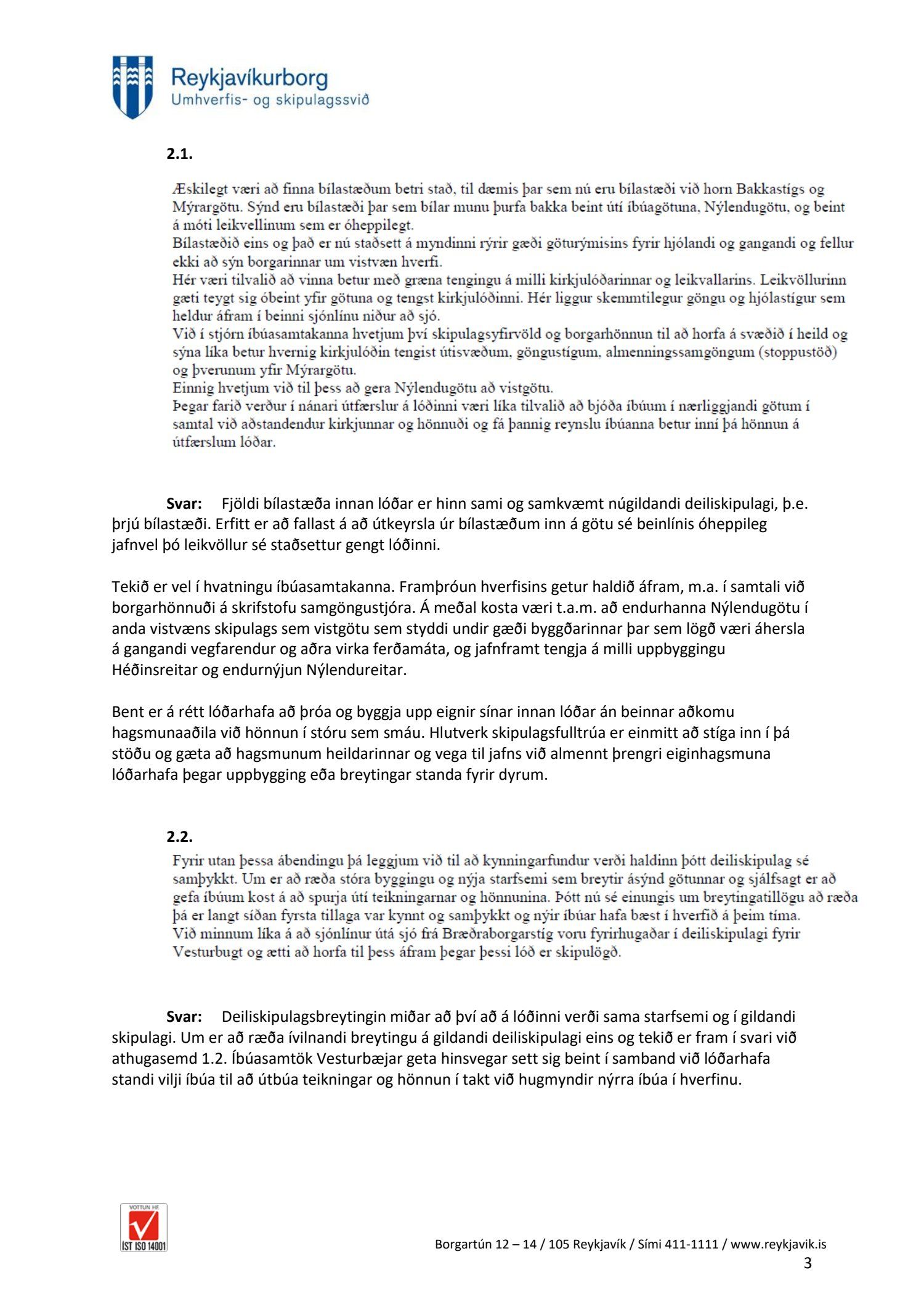
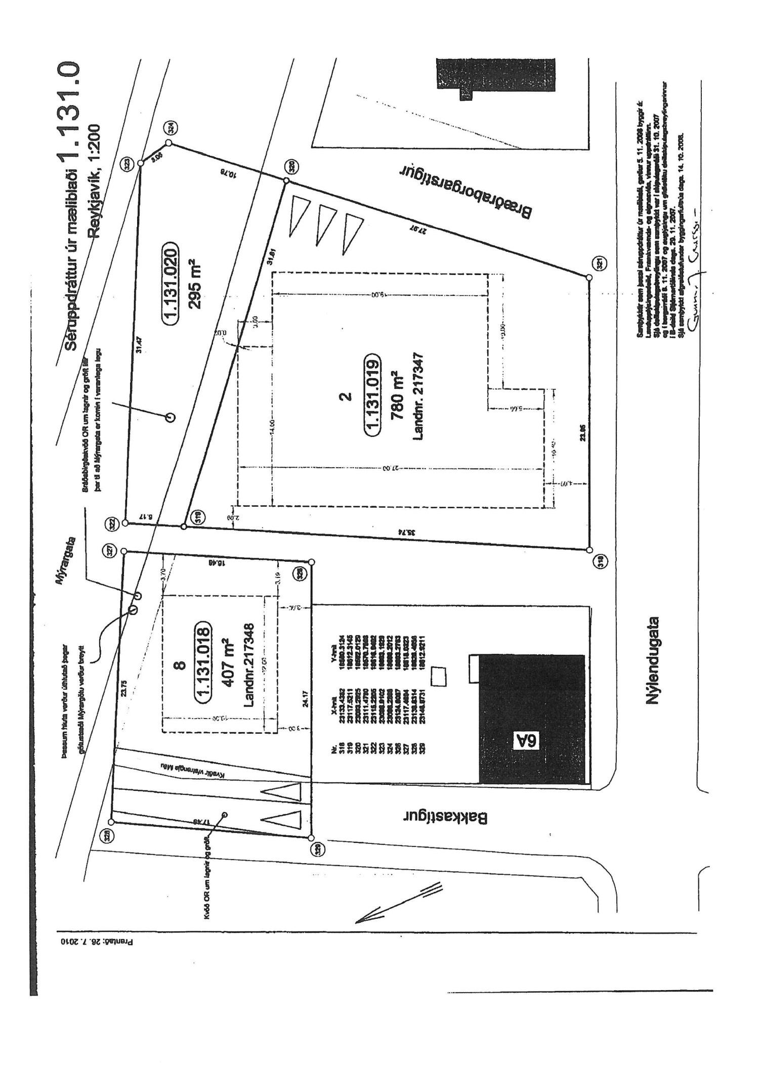
Að lokinni auglýsingu er lögð fram að nýju umsókn Einars Ólafssonar, dags. 18. júlí 2019, varðandi breytingu á deiliskipulagi Nýlendureits, reits 1.131, vegna lóðarinnar nr. 21-23 við Mýrargötu. Í breytingunni felst að minnka umfang og hæðir kirkjunnar ásamt því að kirkjuturnar eru lækkaðir. Turnunum fækkar úr 5 í 2, hámarkshæð hærri turns minnkar úr 22 metrum niður í 18 metra og minni turns úr 17. metrum niður í 15 metra og umfang kirkjunnar minnkar, samkvæmt deiliskipulags-, skuggavarps- og skýringaruppdr. Arkiteo ehf. dags. 18. maí 2020. Tillagan var auglýst frá 17. júlí 2020 til og með 31. ágúst 2020. Eftirtaldir sendu athugasemdir: Íbúaráð Vesturbæjar dags. 31. ágúst 2020, íbúasamtök Vesturbæjar dags. 31. ágúst 2020 og Guðmundur Pálsson dags. 1. september 2020. Einnig er lagt bréf Rússnesku Rétttrúnaðarkirkjunnar á Íslandi dags. 31. ágúst 2020 og minnisblað skrifstofu borgarstjóra og borgarritara dags. 16. september 2020 og bréf íbúaráðs Vesturbæjar dags. 29. september 2020 vegna athugasemda fulltrúa Pírata um tillögu að deiliskipulagi lóðarinnar. 
Svar

Samþykkt sbr. 3. mgr. 41. gr. skipulagslaga nr. 123/2010. Vísað til borgarráðs.

Gestir
Ingvar Jón Bates Gíslason verkefnastjóri tekur sæti á fundinum undir þessum lið með fjarfundarbúnaði.
Bókanir og gagnbókanir
  • Flokkur fólksins
    Um er að ræða Mýrargata 21 og 23, breyting á deiliskipulagi sem m.a. felst í því að minnka umfang og hæð kirkjunnar ásamt því að kirkjuturnar eru lækkaðir. Fulltrúi Flokks fólksins  þykir sem málið sé einfaldlega kannski ekki fullunnið. Turnunum kirkjunnar fækkar úr 5 í 2, hámarkshæð hærri turns minnkar úr 22 í 18 metra.  Kirkjan er ekki sátt við skipulagið eftir að lagt er til að kirkjan verði minnkuð verulega og margir aðrir eru einnig ósáttir, sbr. innsendar athugasemdir. Málið hefur verið í vinnslu frá 2008 og enn virðist ekki lending í sjónmáli þótt takist hafi vissulega að sætta einhver sjónarmið.