Planitor
Reykjavík
/
Skipulags- og samgönguráð
/
Nr. 25
/
Hallarmúli 2
Hallarmúli 2, kæra 5/2019, umsögn, úrskurður
Hallarmúli 2
(01.261.1)
Vakta SN190035
Síðast
tekið fyrir
á fundi fyrir 6 árum síðan.
Málsaðilar
Úrskurðarnefnd umhverfis/auðlin
Skipulags- og samgönguráð
nr. 25
23. janúar, 2019 ·
Fundargerð
arrow.up.right.circle.fill
Annað
‹ 12. fundarliður
13. fundarliður
14. fundarliður ›
Fyrirspurn
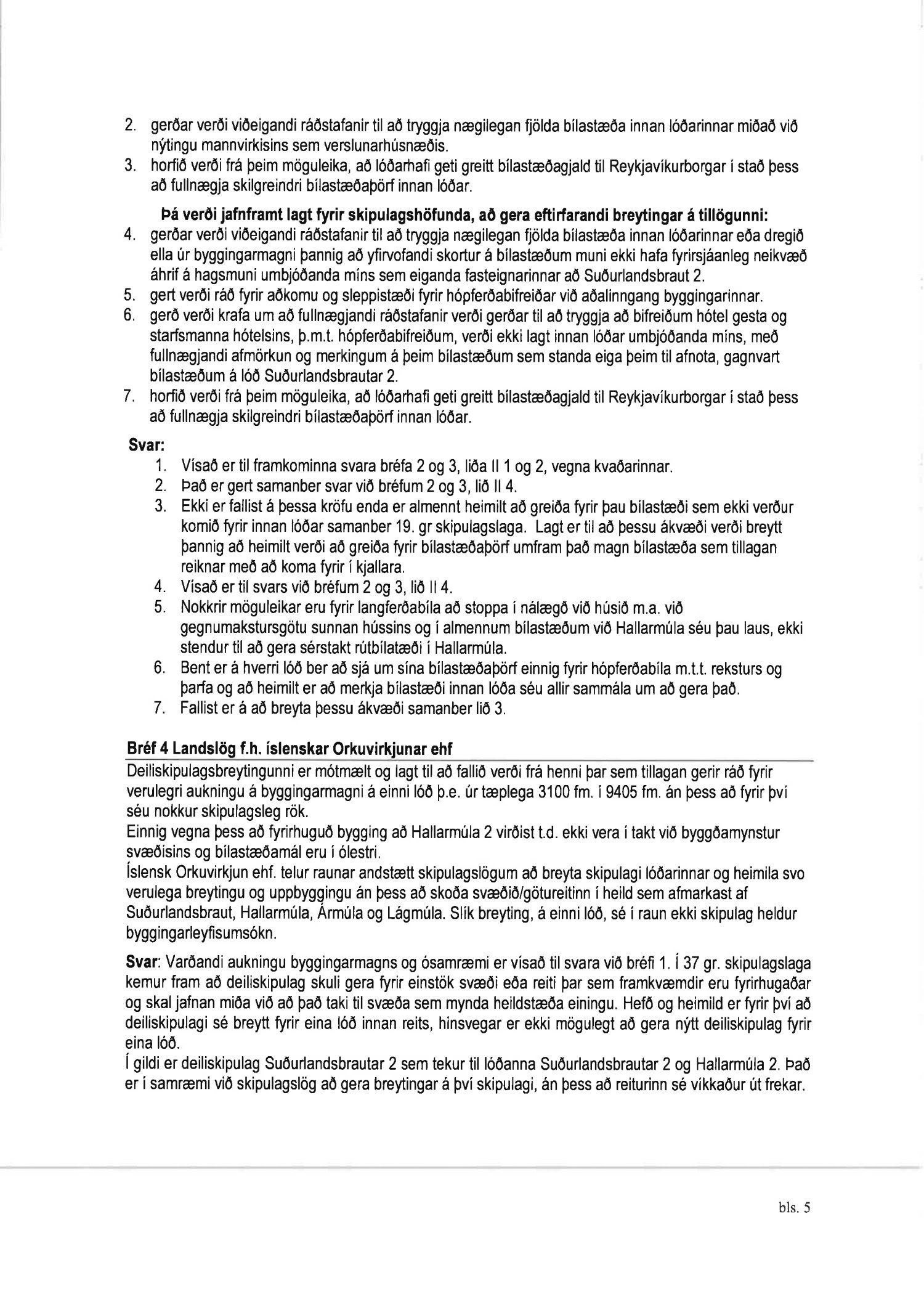
Lagt fram erindi úrskurðarnefndar umhverfis- og auðlindamála dags. 15. janúar 2019 ásamt kæru dags. 14. janúar 2019 þar sem kærð er samþykkt borgarráðs frá 13. september um breytingu á deiliskipulagi lóðarinnar nr. 2 við Hallarmúla.
Svar
Vísað til umsagnar skrifstofu sviðsstjóra.
Hallarmúli 2, kæra 5/2019
PDF
Hallarmúli 2
108 Reykjavík
(fsp) - Mathöll
BN058135
Samþykkt
8. september, 2020
Hallarmúli 2, kæra 6/2019, umsögn, úrskurður
SN190036
Annað
4. desember, 2019
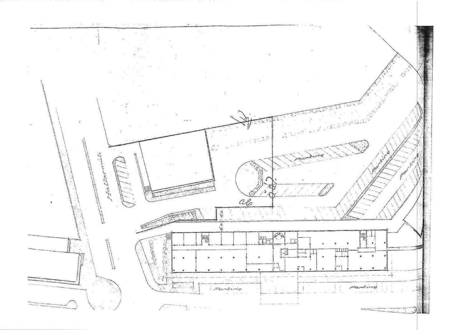
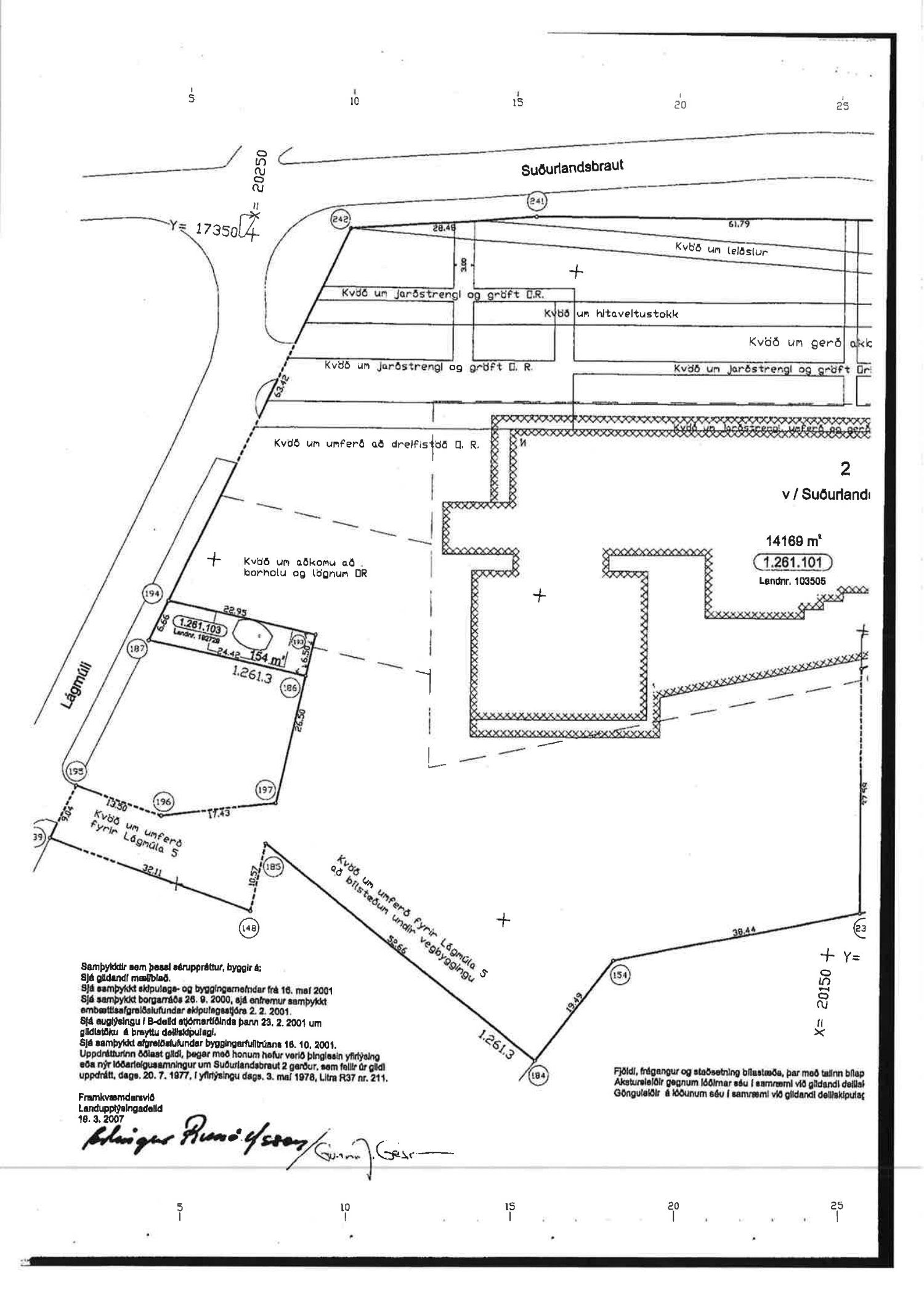
breyting á deiliskipulagi
S13677
Samþykkt
9. nóvember, 2018
Landnúmer: 211260
→ skrá.is
Hnitnúmer: 10001147
(Decimal('64.1393874183478'), Decimal('-21.8877253773791'))
Málsferill
3 fundir
4. desember, 2019
Annað
Umhverfis- og skipulagsráð nr. 56
6. mars, 2019
Annað
Umhverfis- og skipulagsráð nr. 30
23. janúar, 2019
Annað
Umhverfis- og skipulagsráð nr. 25
Sjá málsferil →
Loka